





Early image of Rosehill Cemetery, Hagerstown, Maryland

1934 Image of Antietam National Cemetery


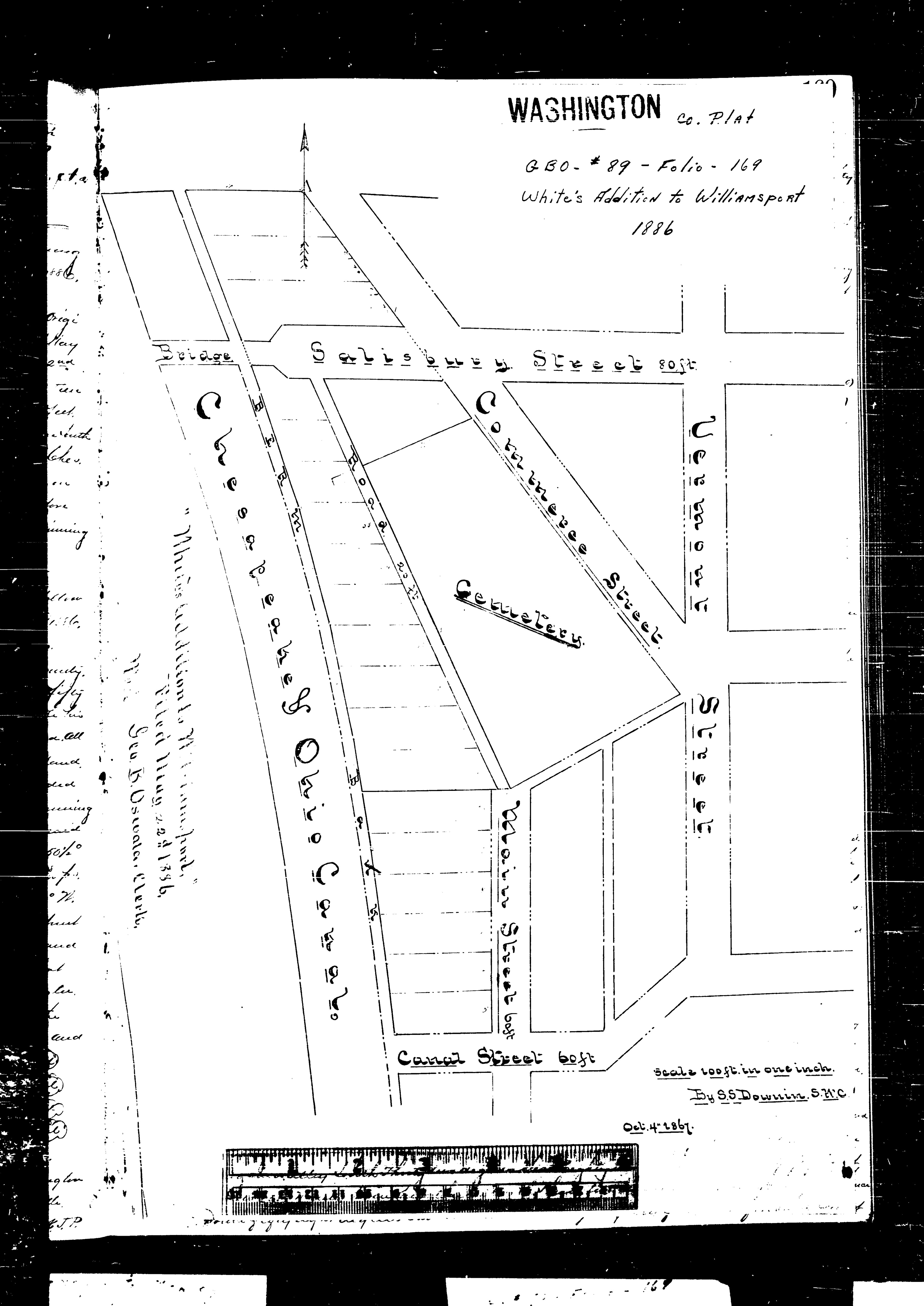
The 1876 plat of Williamsport's revised boundaries that included the graveyard

The name "River View" was not adopted until 1892. Before this, it was known as the Potomac Hill Cemetery


Brigadier General Otho Holland Williams, oil on canvas by Charles Willson Peale, courtesy The Society of Cincinnati, Washington, DC

Sweet Springs Hotel, Otho Holland Williams destination in 1794. He never arrived.

Historic Sweet Springs Hotel was designed by Thomas Jefferson in 1830. Lodging & baths since 1760. Today is is available for special events, festivals and tours.


Elie Williams (1750-1822) was the first Clerk of the Court for Washington County, Maryland. He died in Washington, DC, shortly after being elected to the Maryland Assembly. There is no record of where he or his wife are buried. However, given his close association with his brother and the Town of Williamsport, he is undoubtedly buried in River View Cemetery.

The Smith Sarcophus is at the Westminster Hall Burying Grounds in Baltimore City. Although it was the family crypt, Mary Smith Williams, the General's wife, was not buried there.

Late 1800s photo of Springfield Farm at Williamsport

Mary Smith Williams (White) was the only surviving daughter of Edward Greene "Ned" Williams and Anne Gilmor. This image is courtesy of her GG Great-Granddaughter, who owns the original oil painting and lives in Gaithersburg, Maryland.






These images show the riverfront property owned by Victor Cushwa in 1889 when a massive flood devastated the region. Cushwa had plotted the riverfront property into parcels that he intended to sell. After the flood, nothing sold.



"Doubleday's Crossing" by David Gilmor Blythe (1815-1865). One of the best period images of the terrain as viewed from the top of the cemetery ridge. This lovely oil on canvas was donated to the Baseball Hall of Fame in Cooperstown, NY when Doubleday was still believed to be the father of baseball.




General Abner Doubleday

Hall of Fame weekend at Cooperstown New York, 1939

Charles Ardinger is in his ferry boat across from Williamsport. The photo shows the fenced cemetery in the background. This photo is prior to the 1907 construction of the Washington Berkeley Bridge, which removed most of the hillside on the left side of the cut.




The western edge of the cemetery has fencing circa 1900. The power plant at Williamsport would be built in about 1920.


A Tavern Gang about 1890 representative of what the Whooly-Gooly Gang would have looked like.










which was confirmed by Welty's daughter, Magdalena Emmert. He lived from the age of 7-9 with that
family until the war broke out. Jenkins enlisted on 1 September 1863 and served for 1 year, 3 months, and 21 days. At the time of his enlistment, he was about 23 years old and 5'5" 3/4" inches tall and listed his occupation as a farmer. The 4th was first sent to Ft. Monroe in Hampton, Virginia, and Pvt. Jenkins was soon hospitalized there. He was placed on duty as a cook when discharged from the hospital.
Throughout his service, Pvt. Jenkins spent most of his time in the hospital or sick in quarters. Though he was discharged in May of 1865, he stayed in the hospital at Ft. Monroe until February of 1866. His service record indicates he suffered a fracture of the right femur before enlistment, which shortened his leg by one inch. That, along with rheumatism of the leg, resulted in his discharge for disability. He returned to Washington County and was appointed janitor by the Washington County commissioners. Mr. Jenkins was also active in the community, serving as chaplain to the Lyon Post G.A.R. in 1892, Vice-President of Harrison, Reid, and Wellington Colored Republican Club, and delegate to the county and
state Republican conventions in the 1880's and 90's. Because of Lincoln and the association of the
Republican Party with abolition and reconstruction most African-Americans who could vote, voted Republican until the New Deal.
The History and Roster of Maryland Volunteers lists his rank as corporal, but the 1890 census of veterans ranks him as sergeant. At the time of his enlistment the service record states his occupation as "sailor." For a man living in Williamsport with an occupation of sailor it's likely he was working on the C&O Canal. After the war, Lloyd continued to live in the Williamsport area; the 1880 census has his occupation as laborer and the 1900 as coachman. Records from the Freedmen's Bank show that Lloyd had an account valued at $30, that he was born in Washington County and resided in Downsville, he was 5'6" tall with a dark complexion.

Sunday afternoon, services in the colored M.E. Church by Rev. Sten net. Internment in River View
Cemetery."



Petersburg and Richmond August 1864 to April 1865.Battle of Chaffin's Farm, New Market Heights,
September 28-30.Darbytown Road October 13.Battle of Fair Oaks October 27-28.Near Richmond
October 28 in trenches before Richmond till March 27, 1865, Appomattox Campaign March 27-April
9. Hatcher's Run March 29-31.Fall of Petersburg April 2.Pursuit of Lee April 3-9. Appomattox Court House April 9. Surrender of Lee and his army. Moved to Petersburg April 11, and duty there till May 24. Moved to Indianola, Texas, and May 24-June 23. Duty on the Rio Grande and at various points in the Dept. of Texas till October 1866. Moved to Baltimore, Md., October 14-November 4. Mustered out October 13, 1866, and discharged at Baltimore, Md., November 15, 1866. Regiment lost during service, 1 Officer and 84 Enlisted men were killed and mortally wounded, and 1 Officer and 307 Enlisted men by disease. Total 393.


James Gates swore they grew up together in Williamsport, and his wife Annie says they met in 1862. Green's service record lists his occupation as a boatman. During his service, he was treated in the hospital for a bayonet wound and a hernia, which was caused by a comrade throwing a watermelon rind and hitting him in the testicles. Sadly, he was also treated for venereal disease multiple times as well. Both he and his wife, Annie from Clear Spring, whom he had married on 25 July 1867, suffered serious health issues resulting from his contracted syphilis and gonorrhea. He likely worked on the canal before and after his war service. Joseph died on 1 April 1883 in Cumberland from tubercular consumption.
Baker, 24, was born in 1840 in Williamsport, Maryland. He enlisted in Boston on February 6, 1864, and became the company bugler. Prior to his enlistment, he worked as a waiter.
Blake, who was born in Williamsport, Md. Was 18 when he enlisted in 1863 and was killed in action at
Petersburg, Virginia, on June 15, 1864. Pvt. Blake listed his occupation as a farmer at the time of his
enlistment.
Brooks had been a slave, and his owner, Simon Long, filed a claim with the Slave Compensation Board. He was promoted to corporal and possibly sergeant.
Pvt. Brooks was born in Cumberland but lived in Williamsport for much of his life. Enlisting August 1863, he served until discharged for disability. He was wounded on 29 September 1864 and had his left arm
amputated. According to documents in his pension record, "claimant's left arm was amputated about 2 inches above the wrist joint, leaving a normal stump. Rated thirty dollars." Brooks also received as
serious injury to his right hip from a fall off a pier while boarding a transport steamer at Yorktown.
Information on Pvt. Brown is very limited. He is listed on the 1890 Veteran's Schedule, and he lived in Williamsport.
Pvt. Butler from Williamsport enlisted January 25, 1865 in Pittsburgh, Pa. At some point during his
service he was cited for "pretending insanity."
Regimental Headquarters.
Born in Williamsport, he joined in Pennsylvania. On 1 July 1864 he deserted, was apprehended on the 31st and made a drummer in August.
Sgt. Diggs enlisted 15 February 1865.
A mason by occupation, born near Williamsport, he enlisted on 28 August 1863. Dorsey was wounded on 29 September 1864 and did not rejoin his regiment until 24 February 1865. He was a Private and also played in the Regimental Band.
Pvt. Green was born a slave in Virginia and ran away to join the army. After the war, he settled in
Williamsport and is buried in River View Cemetery. For a time, Joseph Green in Prince George's County received a pension rightfully entitled to Joseph Green from Williamsport. This case was eventually
resolved by the Bureau of Pensions.
An 18-year-old farmer from Williamsport, Md., Jones enlisted along with several other men from the
area on August 28, 1863. He died in a hospital in Yorktown, VA, on December 1, 1863, after having "served honestly and faithfully with his regiment in Virginia."
1866. He was a private and lived in Lancaster, Pennsylvania after the war according to the 1890
Veterans Schedule.
Many men from the area enlisted into the 4th Regiment in August 1863. Marshall, 19, whose occupation was listed as a boatman, likely on the C&O Canal in Williamsport, was among them. Marshall was wounded June 18, 1864, and sent to the Balfore General Hospital in Portsmouth, Virginia, and discharged for disability May 3, 1865.
From Williamsport, Elijah was 16 years old when he enlisted in August 1863. He died on 22 February 1864 from disease at the Regimental Hospital near Yorktown, Va.
wound through the breast causing hemorrhage and infection of the lungs." He was discharged for
disability as a Corporal 26 May 1865.
Pennsylvania. Prior to his enlistment, he had worked as a laborer.
promoted through the ranks to sergeant. In his request for a furlough, it was stated, "he was an excellent soldier and worthy in every way of the indulgence."


